110年:醫學四(1)
9個月大男嬰發生一陣陣無法安撫的哭鬧,時間持續 3 小時,有嘔吐 3 次,但沒有發燒和腹瀉症狀。腹部 X 光(圖一)和腹部超音波(圖二),最有可能的診斷為何?
A急性闌尾炎( Acute appendicitis )
B嬰兒腸絞痛( Infantile coli )
C腸套疊( Intussusception )
D腸道旋轉不良( Intestinal malrotation )
詳細解析
本題觀念:
嬰幼兒急性腹痛常見原因及其典型影像表徵,特別是腸套疊(Intussusception)的臨床與影像診斷要點。
影像分析:
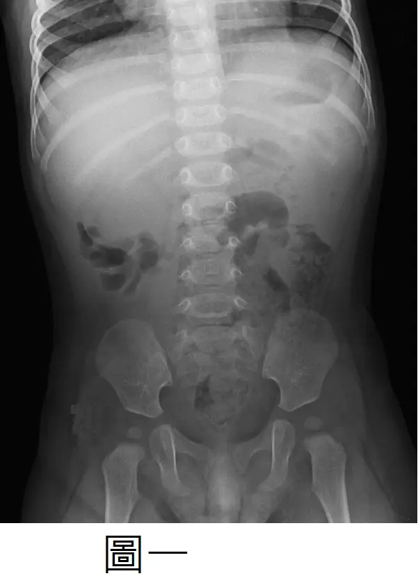
圖一(腹部X光)
- 可見右下腹氣體明顯減少(paucity of gas in RLQ),並在右上腹區域隱約呈現一個軟組織密度陰影。
- 此陰影邊緣與腸道遠端氣體形成「新月徵象」(crescent sign),代表迴腸套入升結腸時,其前緣被結腸內氣體勾勒出弧形空隙(radiologykey.com)。
- 同時可注意到近端小腸輕度擴張,支持部分小腸阻塞的現象。
圖二(腹部超音波)
- 橫切面可見一個直徑約2–3公分的同心圓靶點結構(target or doughnut sign),外層低回聲環代表intussuscipiens,中央高回聲區則為夾帶的腸系膜脂肪與淋巴結(intussusceptum)(radiologykey.com)。
- 靶點結構典型無壓迫變形,內層回聲均勻,無顯著自由液或壞死徵象,符合早期腸套疊。
...(解析預覽)...
![醫師[2] - 消化道及肝膽胰疾病 - AI 圖文解析預覽](/_next/image?url=https%3A%2F%2Fbgvxfcrmbdvefjhuvrmt.supabase.co%2Fstorage%2Fv1%2Fobject%2Fpublic%2Fvisual-explanations%2F208%2F8585_t819f4e0b.webp&w=3840&q=75)
升級 VIP 解鎖圖文解析